Monday, 11 February 2013

That funny reefer man

So...I went to the reef.
That's one to tick off the bucket list.
I also saw Nemo, Dory and a giant clam ('lives under the sea, lots of legs!').
That's another.
And I faced up to one of my greatest ever fears, being stung by a jellyfish.
That was...underwhelming.

Let's start at the beginning, shall we? So, the day after I posted about how glorious N Joy was, I went to the reef. I'm gonna throw in some Travel Writer-y stuff here and say I went with 'Reef Experience', who were extrememly competent and provide breakfast, lunch, sun cream and ginger tablets for the faint of stomach. I also hired an underwater camera through N Joy, and the camera worked very well, but I found the price of replacing one of the parts, which fell to the bottom of the sea bed, to be kinda extortionate.



The boat ride took a lot longer, and was a lot bumpier (though I resisted the ginger*), than I expected; I was one of the only people there on their own, and was thus encouraged to 'follow other divers like a creeper'.
Got your feet.
It made the ride there kinda dull, but they did provide a marine biology lecture, which I attended and remember exactly nothing about. Time well spent.
Finally, we arrived. I'd signed up for introductory diving, and so was given a class in how to breathe, see and avoid touching stuff. I was in group 13 for diving, and so had to wait a while before I took my turn and was informed I could go snorkelling if I so desired.
Good Lord, but snorkelling is awkward. In fact, one could say it was 'snorkward'. But one wouldn't, because one is not a clown. I'd nominally been snorkelling once in Corsica, but all I remember is freaking out because of this big red fish and instead opting to playing gorillas in the shallows. Time well spent.
For one thing, my mask didn't fit- surprise, surprise, my head was too big. I asked for a replacement from a nice American lass named Amanda, who, it transpired, was the boat's resident Marine Biologist (I had honestly forgotten it was she who gave the lecture- snorkward!). She told me I was the politest person they'd ever had aboard, which made me feel good, and then she gave me a new mask which worked a little better, but I still had to get a replacement for the actual scubaing. It turned out this final mask was 'prescription' and is meant to be saved for people with actual medical conditions.
And it still didn't fit correctly.
Anyway, back to snorkelling. I also found it extremely awkward to breathe at first, simply because the natural rhythm involves using one's nose, and this is a big no no for snorkelling. I swallowed huge amounts of sea water, and had to get out of the water several times to soothe my aching throat.
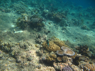
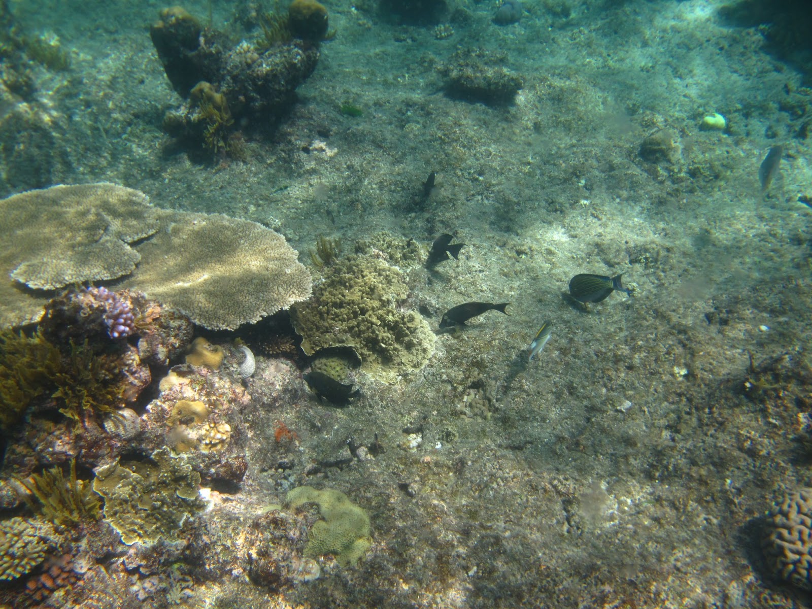
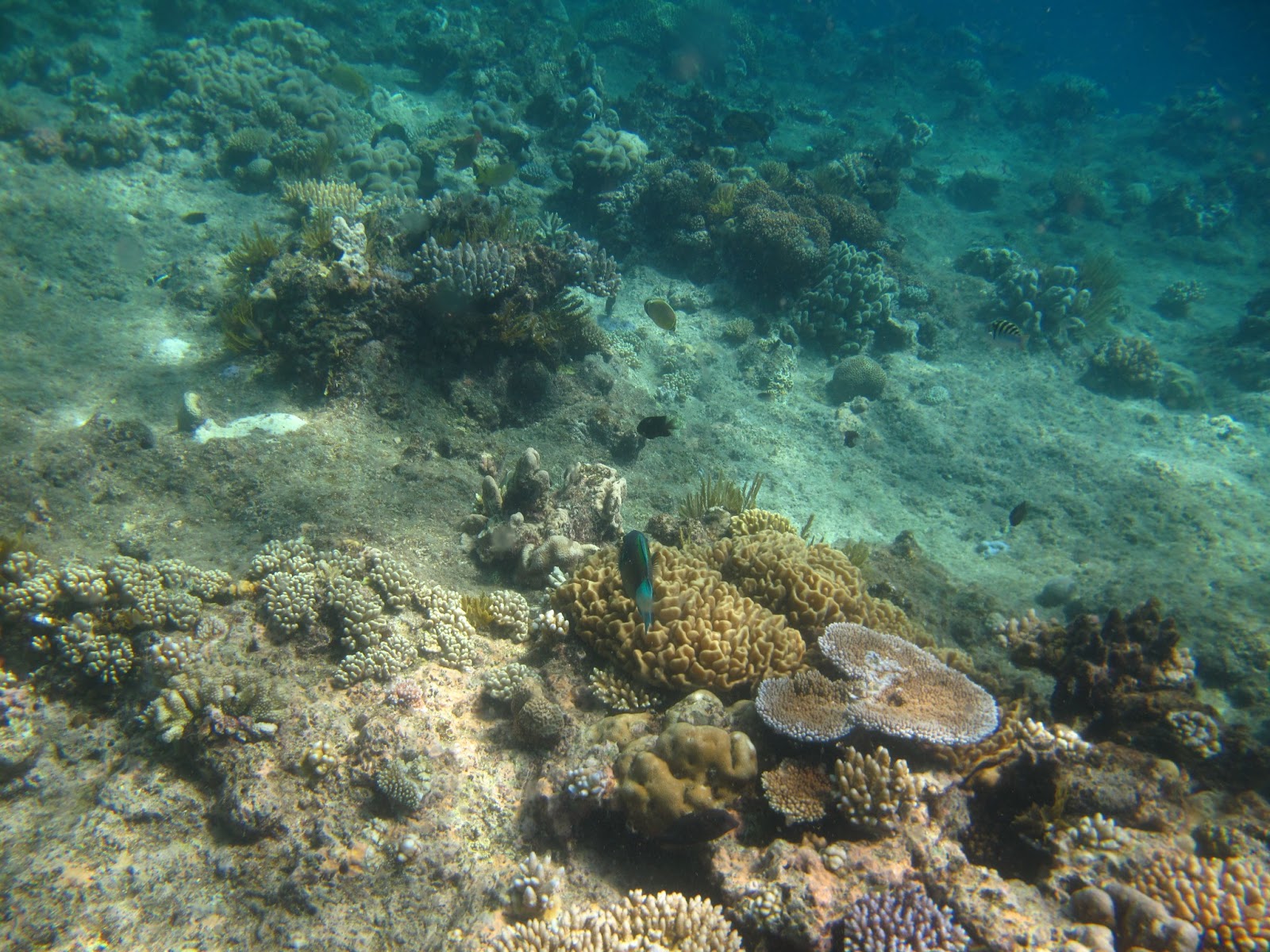
But it was fucking beautiful- in fact, one of the times I swallowed the most water was because I simply couldn't stop myself from gasping at the beauty.
Here are just a few photos:



 

 














and the entire bunch can be found here.

I'd never been open water swimming before, and I'd be lying if I said the experience wasn't slightly disconcerting. But I didn't have a heart attack, which I was a little worried about. However, I was stung by a jellyfish, which I was a LOT worried about.
Now, those who know me very, very well will know that jellyfish are possibly the creature I'm scared of the most. Had I seen the one that stung me, I may not have been able to get into the water, having turned down the opportunity to hire a wetsuit (Amanda assuring me that I wouldn't be stung- nice going, yank!). But it was a drive by stinging- it got me on the back of the leg, then floated off to injure other people. And honestly, I didn't think anything of it- I just thought it was a random sensation caused by the change in pressure. It was only when I got back to N Joy and was showering that I noticed the huge red welt on the back of my leg.
And, honestly, I'm glad it happened that way: it meant I got to see the reef and realise that maybe not all stingers are the devil's minions. Interestingly, though, the day after I went to the reef at least one company stopped going out to the reef cos there were just too many box jellyfish. So, I lucked out there.
Now, to scuba diving. My instructor was named Becky, and she was a scouser. Apart from that, I can't fault her, though, as she was extremely good at pointing out everything I might miss, and had a love of clownfish bordering on the obsessive (I found Nemo. Several times.) She had to hold my hand the entire time because I am what we in the business call a 'bad diver' (also, they'd misjudged the weights I'd need, and I floated away if I wasn't anchored down). I can spout a bunch of cliches about how the reef is like another planet (lack of oxygen, strange plant life, aforementioned floating away due to lack of gravity), and how it's like an underwater forest, but I honestly couldn't do it justice, so I'll just say wait until I post the videos (photos were tricky with Becky holding my hand).
I actually went on two dives, paying for the second aboard the boat, simply because it was too good an experience to turn down a second go. It really was incredible, and if at all possible, I'm gonna return before I leave; my only regret was that I didn't see any turtles, despite visiting a turtle breeding ground. But that's a minor complaint. Everything else was perfect.

Coming soon: Drop bears, spiders and Scarface the crocodile.

*Be Dorothy.

No comments:

Post a Comment